RETAIL
DE SOTO SQUARE PHASE I, II & III CHATSWORTH, CA
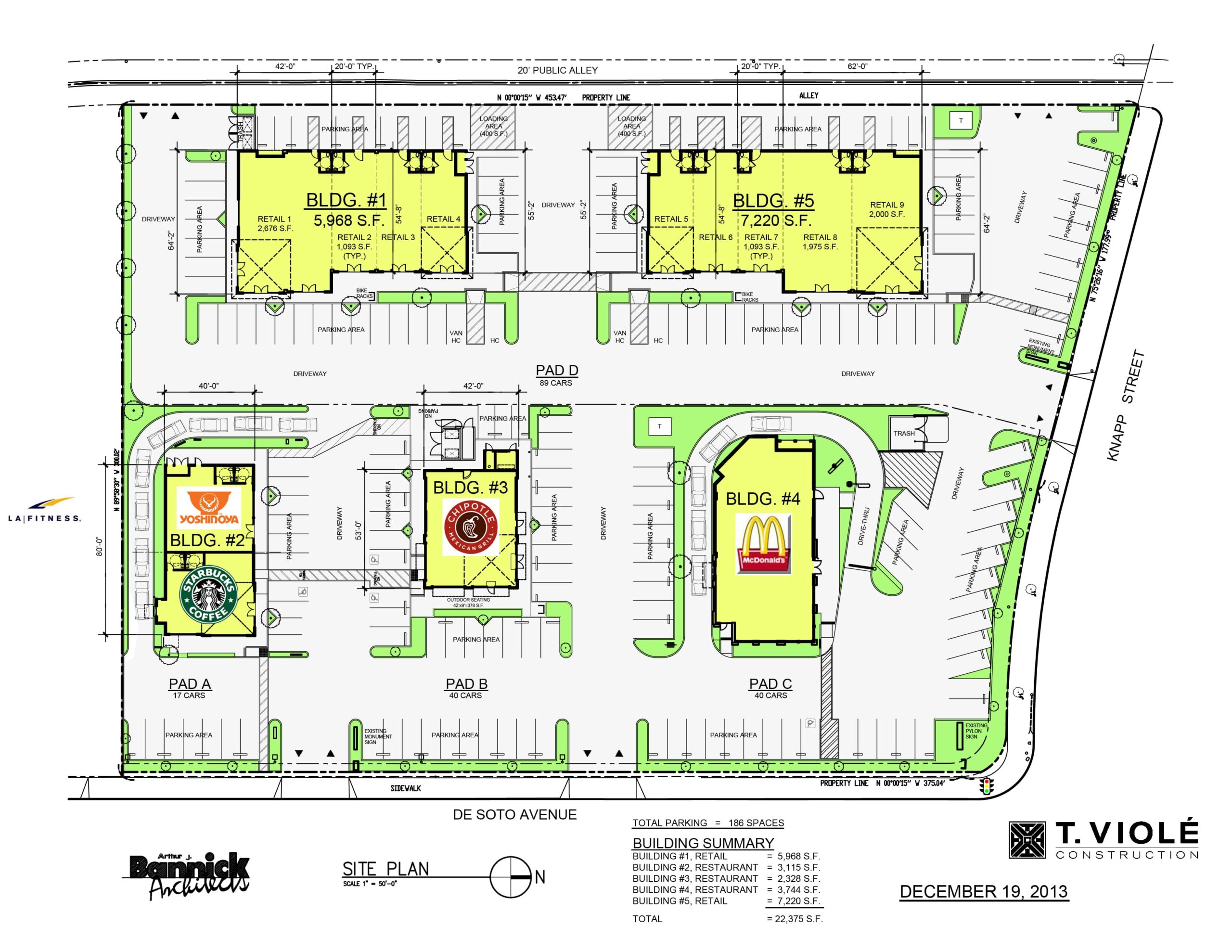
Phased development of a 3-acre parcel, including on-site and off-site utilities, hardscape and landscape for 5 separate retail buildings. Phase I completed in November 2010. Phase II completed in March 2012. Phase III completed in March 2014.




